C-MAP lanserar en stor uppdatering av sina europeiska sjökort. Dessa uppdateringar inkluderar utökad inlandstäckning för norra Frankrike, över 200 nya sjöar som lagts till för Frankrike och förbättrade högupplösta djupdata samt skuggad relief över delar av Europas kustvatten och Sydafrika.
De nya uppgifterna förbättrar sjökorten DISCOVER, REVEAL och X Generation från C-MAP och är tillgängliga kostnadsfritt för alla som har köpt ett sjökort under det senaste året och prenumererar på C-MAP. Du kan se de senaste sjökorten för din plats online på c-map.com/chartexplorer
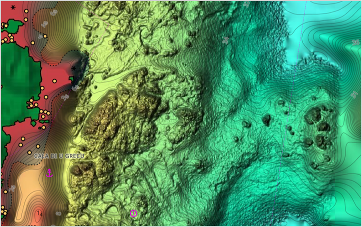
Uppdateringar för europeiska sjökort
- Förbättrade högupplösta djupdata och skuggad relief över delar av Europas kustvatten, inklusive Frankrike, Italien, Spanien, Portugal och Belgien.
- Inlandsdjupdata och standarddataförbättringar i norra Frankrike och Nederländerna, inklusive Canal Rijn, Nieuwe Rijn och andra.
- Förbättrade strandlinjer och uppdateringar av över 6 303 broar och 1 100 slussar utmed norra Frankrikes vattenvägar i inlandet.
- Betydande förbättringar av 230 franska sjöar med nya eller förbättrade strandlinjer och nya djupdata, inklusive Lac d’Orient, Lac D’Auzon bland andra.
- Standarduppdateringar, inklusive uppdaterad information om marinor och hamnkartor, underrättelser till sjöfarare (NTMS), senaste ENC och papperssjökort från officiella källor. Standarduppdateringar gäller för alla sjökort, inklusive Max-, 4D-, DISCOVER-, REVEAL- och X Gen-sjökort i EMEA-portföljen.
De nya uppdateringarna finns nu tillgängliga i DISCOVER och REVEAL, samt DISCOVER X och REVEAL X-sjökort, med skuggad relief och satellitvy endast tillgängligt i produktnivåerna REVEAL.
Info: www.c-map.com








